Construction Works Schedule and Location Plans for Tung Chung New Town Extension (East)
(Revision 4)
(EP No. EP-519/2016)
Dec 2022


History of Revision and Amendments
|
Revision Number |
Date of Report |
Amendments |
|
1 |
May 2018 |
First Submission |
|
2 |
January 2021 |
Updated Location Plans to reflect the latest arrangement |
|
3 |
June 2022 |
Updated programme bar chart with the current demarcation plan for Contract 1 Consolidation with other Contracts under TCE |
|
4 |
December 2022 |
Updated Location Plans to reflect the latest arrangement Consolidation with other Contracts under TCE |
Table of Contents
1.2.4. Tung Chung New Town Extension – Tai Ho Interchange (Contract No. NL/2020/07) (Contract 7)
Annex 5 - Tung Chung New Town Extension – Tai Ho Interchange (Contract No. NL/2020/07) (Contract 7)
The Environmental Impact Assessment (EIA) Report (Register No.: AEIAR-196/2016) prepared for the “Tung Chung New Town Extension” (hereinafter referred to as “the Project”) has been approved by the Director of Environmental Protection, and an Environmental Permit (EP) (Permit No.: EP-519/2016) has been issued for the project under the Environmental Impact Assessment Ordinance. This submission of Construction Works Schedule and Location Plans has been prepared in accordance with Condition 2.12 of the EP which stipulates
(i) a detailed phasing programme of all construction works including reclamation, seawall construction, roadworks, river park and sewage pumping stations of the Project; and
(ii) location plan of all construction works in an appropriate scale.
The development of Tung Chung New Town Extension (TCNTE), comprising Tung Chung East (TCE) and Tung Chung West (TCW), is a mega-scale and complex project aiming to provide land to meet the future housing economic and social development needs of Hong Kong. Due to the fact that the proposed works are geographically separated, the implementation of mega-scale Project is divided into two packages, namely TCE and TCW respectively. In accordance with the tight delivery programme, the Project will be implemented in phases under separate contracts for the developments of TCE and TCW. This submission only covers the relevant information of the construction works for the Construction Works Schedule and Location Plans in TCE. For the relevant information of the construction works including river park which is located in TCW, please refer to the Construction Works Schedule and Location Plans for TCW at the dedicated project website: https://www.env.tcnte-west.hk/en/ep-submissions.html.
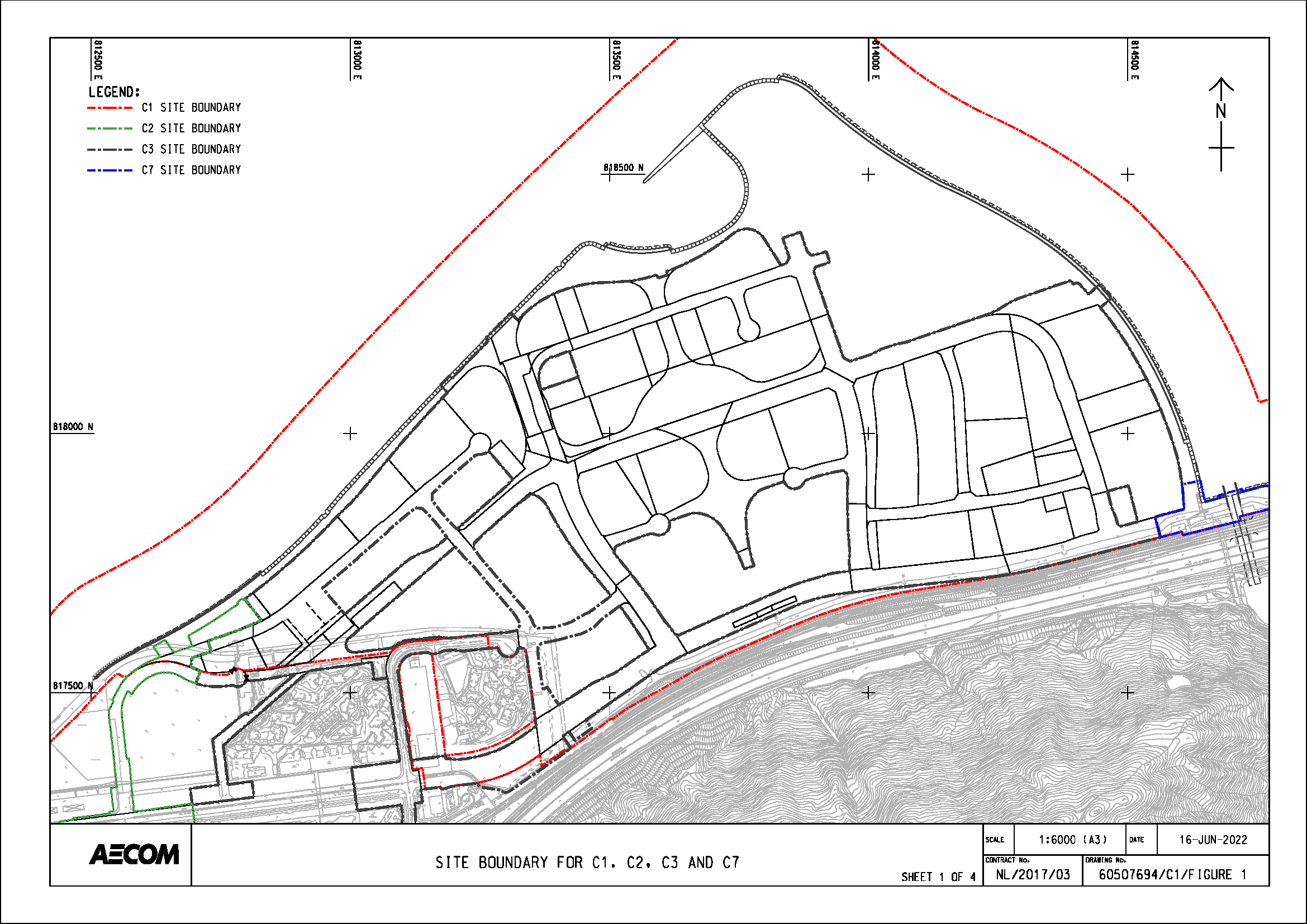
1.2.1. Tung Chung New Town Extension – Reclamation and Advance Works (Contract No. NL/2017/03) (Contract 1)
Build King – SCT Joint Venture (BKSCTJV) is the contractor appointed to undertake the reclamation works in Tung Chung East and the advance works for the Project. The works mainly comprise:-
a) Reclamation of the seabed by a non-dredged method at Tung Chung East (TCE) to form a total of about 130 hectares of land;
b) Construction of about 4.9 kilometres of seawalls with eco-shoreline, three drainage box culvert outfalls, three circulation drains and a seawater intake;
c) Construction of about a 470-metre long multi-cell drainage box culvert at TCE;
d) Provision of infrastructure for Tung Chung Area 58, including construction of a single two-lane road with a footpath of about 270 meters in length and the associated utility works; and
e) Associated environmental mitigation measures.
1.2.2.Tung Chung New Town Extension – Salt Water Supply System (Contract No. NL/2020/02) (Contract 2)
China Geo-engineering Corporation (CGC) is the contractor appointed to undertake the construction of salt water supply system for the Project. The works mainly comprise:-
a) Construction of Tung Chung Salt Water Pumping Station at Tung Chung East reclamation area with a pumping capacity of 54,000 m3 per day;
b) Construction of Tung Chung Salt Water Service Reservoir near Chek Lap Lok New Village with a storage capacity of about 11,500 m3;
c) Laying of about 2,600m long salt watermains;
d) Laying of about 1,500m long fresh watermains;
e) Compensatory woodland planting near Tung Chung Salt Water Service Reservoir; and
f) Associated civil, geotechnical, structural, building services systems, electrical and mechanical engineering and landscape works.
1.2.3. Tung Chung New Town Extension – Major Infrastructure Works in Tung Chung East (Contract No. NL/2020/03) (Contract 3)
Build King Civil Engineering Limited (BKCEL) is the contractor appointed to undertake the construction of main infrastructure works for the Project. The works mainly comprise:-
a) Construction of engineering infrastructure including drainage works, sewerage works (including two sewage pumping stations), waterworks, roadworks (including carriageways, footpaths, cycle tracks and junction improvements), common utility tunnels and landscaping works; and
b) Construction of associated environmental mitigation works including noise barriers and low-noise road surfacing.
1.2.4. Tung Chung New Town Extension – Tai Ho Interchange (Contract No. NL/2020/07) (Contract 7)
Build King Civil Engineering Limited (BKCEL) is the contractor appointed to undertake the construction of Tai Ho Interchange connecting North Lantau Highway, Road P1 and Cheung Tung Road, construction of a section of dual two-lane Road P1 between Tung Chung East and Tai Ho Interchange, laying of fresh water, salt water and sewage rising mains, associated civil, geotechnical and landscaping works for the Project. The works mainly comprise:-
a) Construction of around 4km of roads, drainage, sewerage, watermains and utilities respectively;
b) Construction of Pak Mong Subway Extension and Modification to Existing Pak Mong Subway;
c) Construction of Bridge C connecting Roundabout P1 to Tai Ho Interchange;
d) Modification works to Tai Ho Box Structure;
e) Construction of North Lantau Highway overbridge Bridge A1 and A2;
f) Construction of sliproads SR-A1, SR-A2, SR-A4 and SR-A5 to North Lantau Highway;
g) Construction of sliproads SR-A3 to Cheung Tung Road; and
h) Construction of Retaining Structures and Earthworks.
This submission is prepared based on the latest information of Contract 1, Contract 2, Contract 3 and Contract 7. The submission will be updated when there is update of information provided.
The location plan for the project of Tung Chung New Town Extension (TCNTE) is provided in Annex 1.
The details of Construction Works Schedule and Location Plans for Contract 1, Contract 2, Contract 3 and Contract 7 are provided in Annex 2, 3, 4, and 5 below.










































































